Local Service Overview

Get Ants Extermination Service in Little Elm, TX

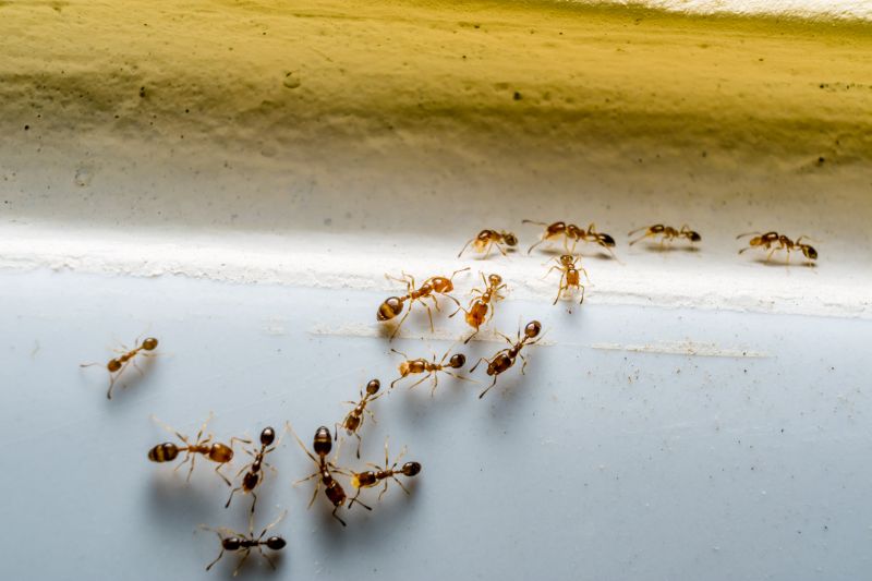
Ants extermination services for property owners in Little Elm, TX, and nearby areas address ant infestations, prevent future outbreaks, and handle residential and commercial pest control projects.

Little Elm, TX

Ants extermination services are a practical solution for property owners in Little Elm, TX seeking to maintain a comfortable and functional living environment. By addressing ant infestations promptly, homeowners can reduce the risk of damage to structures, electrical wiring, and stored belongings. Eliminating these pests helps create a safer space, minimizing potential health concerns and preventing the spread of bacteria often associated with ant colonies. Additionally, professional extermination can lead to longer-lasting results, reducing the need for frequent treatments and ongoing maintenance.

Property owners often pursue ant extermination to enhance curb appeal and preserve the durability of their homes. A pest-free exterior contributes to a well-maintained appearance, boosting overall property value. Regular treatments by experienced service providers can also help prevent future invasions, ensuring the property remains functional and aesthetically appealing over time. Engaging local experts provides peace of mind that the work is tailored to the specific needs of Little Elm residences, supporting a safe, attractive, and durable home environment.

Get Ants Extermination Service Quotes

  • Ants Extermination Services - homeowners experiencing ant infestations in residential or commercial properties can find effective solutions through local pest control providers.
  • Ants Prevention Services - property owners seeking to protect their buildings from future ant invasions may need ongoing or preventative pest management.
  • Ants Nest Removal Services - individuals noticing large ant colonies or nests outdoors might require professional removal to eliminate the source of the infestation.
  • Ants Inspection Services - those unsure of the extent of an ant problem or wanting to identify entry points can benefit from thorough inspections by local specialists.
  • Ants Treatment Services - clients dealing with persistent ant issues that do not respond to basic methods may need targeted treatment plans from experienced exterminators.

Get Ants Extermination Service Quotes

Ants Extermination Service
Ants Extermination Service
Ants Extermination Service

Ants extermination services involve identifying and eliminating ant infestations within residential, commercial, and industrial properties. Professionals typically conduct a thorough inspection to locate ant colonies and determine the species involved. Treatment methods may include the application of targeted baits, insecticides, or barriers designed to eradicate ants at their source while minimizing impact on the environment and occupants. These services aim to reduce ant activity, prevent future invasions, and restore a pest-free environment.

Ant infestations can cause various problems for property owners. Aside from the nuisance of seeing ants crawling indoors or outdoors, certain species can contaminate food supplies and damage structures by nesting in wood or insulation. In some cases, ants may also indicate underlying issues such as moisture problems or access points that need sealing. Exterminators help address these concerns by implementing effective strategies to control and eliminate ant populations, thereby reducing the risk of property damage and health-related issues.

Properties that commonly utilize ants extermination services include single-family homes, apartment complexes, restaurants, and retail stores. Residential properties often seek assistance when ants invade kitchens, bathrooms, or living areas, disrupting daily routines. Commercial establishments, especially food service businesses, require prompt and effective ant control to meet health regulations and maintain customer satisfaction. Additionally, industrial facilities with storage areas or production lines may need ongoing pest management to prevent ant-related contamination or damage.

Professional ant extermination services are essential for managing persistent or severe infestations that cannot be resolved through DIY methods. Local service providers offer tailored solutions based on the specific property type and extent of the problem. Whether addressing a minor invasion or a large-scale infestation, these experts focus on delivering targeted treatments to ensure long-term control. Contacting a local pest control professional can help property owners find effective, reliable solutions for ant-related issues.

The overview below groups typical Ants Extermination Service projects into broad ranges so you can see how smaller, mid-sized, and larger jobs often compare in Little Elm, TX.

In many markets, a large share of routine jobs stays in the lower and middle ranges, while only a smaller percentage of projects moves into the highest bands when the work is more complex or site conditions are harder than average.

Initial Inspection - The cost for an ant inspection typically ranges from $50 to $150, depending on the property size and complexity. This fee often covers a thorough assessment by local pros to identify ant activity and entry points.

Spot Treatment - Spot treatments for ant nests or visible colonies generally cost between $75 and $200 per treatment. Prices vary based on the nest size and location within the property.

Full Property Treatment - Complete extermination services for an entire property usually range from $200 to $500. This includes a comprehensive application to eliminate existing colonies and prevent future infestations.

Ongoing Maintenance - Follow-up or preventative treatments might cost between $100 and $300 per visit. Costs depend on the property's size and the extent of ant activity needing control.

Actual totals will depend on details like access to the work area, the scope of the project, and the materials selected, so use these as general starting points rather than exact figures.

Get an Ants Extermination Service Quote

Ants Extermination - Local pest control providers offer specialized services to eliminate ant infestations and prevent future invasions. They use targeted treatments tailored to the specific ant species present.

Ants Control for Residential Properties - Service providers assist homeowners in eradicating ants from indoor and outdoor living spaces, ensuring a safer and cleaner environment.

Commercial Ants Extermination - Commercial pest control experts help businesses manage ant problems that could disrupt operations or compromise hygiene standards.

Ants Prevention Services - Local pros offer ongoing monitoring and preventive treatments to keep ants from returning after initial extermination efforts.

Eco-Friendly Ants Removal - Some providers utilize environmentally conscious methods to eliminate ants while minimizing impact on the surrounding area.

Emergency Ants Extermination - Rapid-response pest control services are available to address severe ant infestations promptly and effectively.

Ants Extermination Service

When selecting a professional for ant extermination services, it is important to consider the experience of local service providers. An established contractor with a proven track record in pest control can often demonstrate familiarity with common ant issues in areas like Little Elm, TX, and nearby communities. Homeowners should look for providers who clearly outline their expertise and the types of treatments they offer, ensuring an understanding of how they address ant infestations effectively.

Clear communication and written expectations are key components of a successful service experience. Reputable local pros typically provide detailed information about their process, what homeowners can expect during treatment, and any necessary follow-up steps. Having these details in writing helps set transparent expectations, reduces misunderstandings, and ensures that homeowners are well-informed about the scope and nature of the services being provided.

References and reputation are valuable indicators when comparing local ant extermination providers. Homeowners are encouraged to seek out service providers with solid reputations, which can often be verified through references or reviews from previous clients. Reliable providers are usually responsive to inquiries and willing to share contact information for past customers, helping homeowners make informed decisions based on the experiences of others in the community.

Get an Ants Extermination Service Quote

Property owners in Little Elm, TX use Ants Extermination Service services for practical projects around their homes and businesses. The sections below highlight everyday jobs and straightforward project options.

Ants Extermination Service
Ants Extermination Service

Ants extermination services are often sought by property owners in Little Elm, TX, facing persistent ant infestations that disrupt daily living and compromise hygiene. Common situations include discovering large numbers of ants inside homes or businesses, especially in kitchens and pantry areas, which can lead to concerns about food contamination and property damage. Local service providers are available to assess the extent of the infestation and implement targeted treatments to eliminate ants and prevent future issues.

Property owners may also seek ant extermination services when noticing ant trails or nests around their property’s exterior, such as along foundation walls, near mulch, or in garden beds. These signs can indicate ongoing infestations that, if left untreated, may spread or attract other pests. Professional providers can help address these situations efficiently, helping to restore comfort and maintain the property's integrity.

Get an Ants Extermination Service Quote

How do ant extermination services work? Ant extermination services typically involve inspecting the property, identifying ant species and entry points, and applying targeted treatments to eliminate colonies and prevent future infestations.

Are ant extermination treatments safe for pets and children? Many extermination treatments are designed to be safe when used as directed, but it is recommended to discuss safety concerns with local service providers before treatment.

How long does an ant extermination treatment usually last? The duration of effectiveness varies depending on the treatment method and ant species, with some services offering ongoing monitoring or follow-up treatments if needed.

Can ant extermination services prevent future infestations? Yes, professional exterminators can identify and address entry points and attractants to help reduce the likelihood of future ant problems.

How do I find local ant extermination service providers in Little Elm, TX? You can contact local pest control companies or service providers specializing in ant extermination services in the Little Elm area for assistance.

Ants Extermination Solutions - Local service providers can assess your property to identify ant colonies and recommend effective removal strategies.

Ant Control Treatments - Professionals utilize targeted treatments to eliminate existing ant infestations and prevent future reentry.

Ant Prevention Advice - Experts offer guidance on sealing entry points and removing attractants to reduce the likelihood of ant problems.

Ongoing Monitoring Services - Regular inspections may be available to ensure ant activity remains under control and to address new issues promptly.

Ants Extermination Service

Considering Ants Extermination Service for a property in Little Elm, TX? The sections above highlight common project types, practical options, and details that often shape the scope of work.

When you are ready, use the quote form to share a few details about your project. Local pros can review the basics and respond with options that match what you have in mind.

Get an Ants Extermination Service Quote

Ants Extermination Quotes

Our Trusted Partners
Cantu Pest Control
Orkin
Hawx Pest Control