Local Service Overview

Get Black Ant Extermination in Carrollton, TX

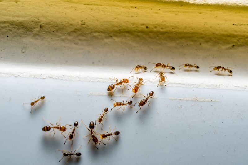
Black Ant Extermination services for property owners in Carrollton, TX, address ant infestations, prevent future invasions, and treat affected areas in residential and commercial buildings.

Carrollton, TX

Black ant extermination services are often sought by property owners in Carrollton, TX to address persistent ant infestations that can disrupt daily routines and compromise comfort. Professional extermination helps create a safer and more enjoyable living or working environment by reducing the presence of these pests, which can invade kitchens, bathrooms, and other common areas. Additionally, effective ant control enhances the durability of structures by preventing potential damage caused by ant activity and reduces ongoing maintenance needs associated with recurring infestations.

Choosing professional ant extermination can also boost curb appeal by maintaining a clean and pest-free exterior. Property owners often look for solutions that improve the overall appearance of their homes and businesses while ensuring functionality remains intact. Reliable services can deliver long-lasting results, helping to minimize future pest issues and supporting a well-maintained, inviting property in Carrollton, TX.

Get Black Ant Extermination Quotes

  • Ant Extermination - needed when black ants invade kitchens, pantries, or outdoor areas around Carrollton, TX.
  • Indoor Black Ant Control - required if black ants are found nesting inside walls, basements, or attics in nearby neighborhoods.
  • Outdoor Ant Removal - necessary when black ant colonies are establishing mounds in lawns or garden beds in the local area.
  • Preventive Black Ant Treatments - used to protect properties from future infestations in residential or commercial spaces in Carrollton and surrounding regions.
  • Emergency Black Ant Extermination - sought when black ant populations rapidly grow or suddenly appear in high-traffic areas nearby.

Get Black Ant Extermination Quotes

Black Ant Extermination
Black Ant Extermination
Black Ant Extermination

Black ant extermination services focus on identifying and eliminating black ant infestations within residential, commercial, and industrial properties. These services typically involve thorough inspections to locate ant colonies, entry points, and trails. Exterminators may use a combination of baiting, trapping, and targeted treatments to effectively reduce or eradicate black ant populations. The goal is to address the infestation at its source, preventing further spread and minimizing the likelihood of recurring problems.

Black ant issues can cause various inconveniences and concerns for property owners. Infestations often result in unsightly trails and nests that can be difficult to remove without professional intervention. Additionally, black ants can contaminate food supplies, damage plants, and sometimes invade indoor spaces, creating discomfort and hygiene concerns. Professional extermination helps to resolve these problems efficiently and reduce the risk of larger infestations that could lead to more extensive property damage or health issues.

Properties that commonly utilize black ant extermination services include homes, apartment complexes, restaurants, and office buildings. Residential properties frequently seek assistance when ants invade kitchens or living areas, especially during warmer months when ant activity peaks. Commercial establishments, such as food service providers, seek pest control to maintain cleanliness and comply with health standards. Additionally, warehouses and storage facilities may require extermination to protect stored goods from ant contamination or damage.

Engaging with local pest control providers ensures access to tailored solutions for black ant problems. These professionals have experience in managing infestations across different property types and sizes. Whether dealing with a small kitchen invasion or a larger outdoor colony, property owners can contact local service providers for assessments and treatment options. Proper pest management can help maintain a clean, safe, and comfortable environment by effectively controlling black ant populations.

The overview below groups typical Black Ant Extermination projects into broad ranges so you can see how smaller, mid-sized, and larger jobs often compare in Carrollton, TX.

In many markets, a large share of routine jobs stays in the lower and middle ranges, while only a smaller percentage of projects moves into the highest bands when the work is more complex or site conditions are harder than average.

Initial Inspection - The cost for a black ant extermination inspection typically ranges from $75 to $150. This fee often covers the assessment of infested areas and identification of ant activity.

Treatment Services - Treatment costs generally fall between $150 and $300 per service, depending on the size of the affected area. Multiple treatments may be necessary for complete eradication.

Ongoing Maintenance - Regular maintenance plans can cost between $50 and $100 per visit, with quarterly or bi-annual options available to prevent future infestations.

Additional Charges - Extra costs may apply for specialized treatments or if extensive nesting is found, typically adding $50 to $200 to the overall expense. Local service providers can offer tailored quotes based on specific needs.

Actual totals will depend on details like access to the work area, the scope of the project, and the materials selected, so use these as general starting points rather than exact figures.

Get a Black Ant Extermination Quote

Black Ant Extermination services help eliminate infestations of black ants in residential and commercial properties. Local pest control providers specialize in identifying ant colonies and applying targeted treatments.

Ant Control Treatments involve applying effective solutions to reduce black ant populations and prevent future invasions. Professionals assess the severity of the infestation to determine the most appropriate approach.

Residential Pest Management services address black ant problems in homes, ensuring living spaces are protected from ongoing ant activity. Local experts tailor treatments to suit specific property needs.

Commercial Ant Prevention services focus on maintaining business environments free from black ant infestations. Service providers implement strategies to minimize disruption and protect inventory.

Infestation Inspection involves thorough examinations to locate ant colonies and entry points. Local pros identify sources to inform effective treatment plans.

Preventive Barrier Treatments create a protective zone around properties to deter black ants from entering. These treatments help reduce the likelihood of future infestations by local pest control specialists.

Black Ant Extermination

When selecting a professional for black ant extermination, experience is a key factor to consider. Homeowners should look for service providers who have a proven track record in pest control, particularly with ant species common to Carrollton, TX, and surrounding areas. An experienced contractor can better identify ant behaviors, nesting sites, and effective treatment methods, which can contribute to more reliable results. It’s advisable to inquire about the number of years a provider has been operating and their familiarity with local pest challenges to ensure they are well-equipped to handle the specific needs of the property.

Clear communication and well-defined written expectations are important when working with pest control providers. Homeowners should seek out local pros who provide detailed descriptions of their services, including the scope of work, treatment methods, and any necessary follow-up procedures. Transparent communication helps set realistic expectations and ensures that both parties understand the process. Reputable service providers often have policies in place to address questions or concerns, fostering a smoother experience and reducing potential misunderstandings during the extermination process.

Reputation and references can serve as valuable indicators of a pest control provider’s reliability and quality of service. Homeowners are encouraged to seek out local pros with positive references from previous clients in Carrollton or nearby communities. Verified testimonials or recommendations can offer insights into the provider’s professionalism, effectiveness, and customer service. Additionally, established providers who maintain consistent communication and provide clear written information tend to be more dependable, making it easier for homeowners to select a pest control professional who aligns with their needs and expectations.

Get a Black Ant Extermination Quote

Property owners in Carrollton, TX use Black Ant Extermination services for practical projects around their homes and businesses. The sections below highlight everyday jobs and straightforward project options.

Black Ant Extermination
Black Ant Extermination

Black ant extermination services are commonly sought by property owners in Carrollton, TX, who are dealing with persistent ant infestations. These insects can invade homes and businesses, especially during warmer months, creating nuisances and potential health concerns. Local service providers can help identify the source of the ant problem and implement targeted treatments to eliminate colonies and prevent future invasions.

Property owners may also look for black ant extermination when noticing increased ant activity around their outdoor spaces or along foundation walls. Effective pest control can help protect landscaping, prevent damage to structures, and maintain a clean, pest-free environment. Connecting with experienced local contractors ensures that appropriate methods are used to address ant issues safely and efficiently.

Get a Black Ant Extermination Quote

Why are black ants attracted to my home? Black ants are often drawn to food sources, moisture, and shelter inside or around homes, leading them indoors in search of these resources.

What are common signs of black ant infestation? Signs include visible ant trails, small piles of dirt or debris near entry points, and ants found inside kitchens or bathrooms.

How do professional extermination services eliminate black ants? Local service providers typically use targeted treatments and baits to eradicate black ants and prevent future invasions.

Are black ants harmful to my home or health? While black ants are generally not dangerous, they can contaminate food and create nuisance issues inside the home.

How can I prevent black ants from returning? Sealing entry points, removing food and water sources, and working with local pros for ongoing treatments can help keep black ants away.

Black Ant Extermination Techniques - Local service providers can implement various methods to effectively eliminate black ants from residential and commercial properties.

Preventive Measures for Black Ants - Pros can offer advice and services to reduce attractants and seal entry points, helping to prevent future infestations.

Black Ant Identification and Inspection - Experts can identify black ant species and conduct thorough inspections to locate nests and determine the extent of the infestation.

Integrated Pest Management Strategies - Service providers may utilize environmentally responsible approaches to control black ant populations while minimizing impact on the surroundings.

Black Ant Extermination

Considering Black Ant Extermination for a property in Carrollton, TX? The sections above highlight common project types, practical options, and details that often shape the scope of work.

When you are ready, use the quote form to share a few details about your project. Local pros can review the basics and respond with options that match what you have in mind.

Get a Black Ant Extermination Quote

Black Ant Extermination Quotes

Our Trusted Partners
Cantu Pest Control
Orkin
Hawx Pest Control
Mosquito Shield