Local Service Overview

Get Ants Extermination Service in Roanoke, TX

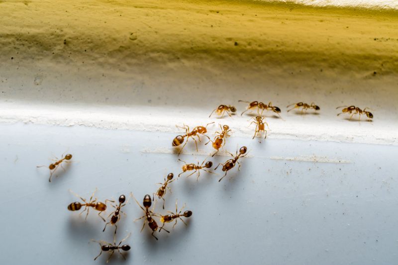
Ants extermination services for property owners in Roanoke, TX, and nearby areas address ant infestations, prevent future invasions, and handle residential and commercial pest control projects.

Roanoke, TX

Ants extermination services provide property owners in Roanoke, TX with effective solutions to manage and eliminate ant infestations. Addressing these pests helps maintain a comfortable living environment by preventing the nuisance and potential health concerns associated with ant colonies. Additionally, professional extermination can enhance the safety of a property by reducing the risk of ants contaminating food or coming into contact with household items, contributing to a more secure and hygienic space.

Beyond immediate pest control, these services support the long-term functionality and curb appeal of properties. Proper extermination helps protect structures from damage caused by ant activity, such as wood destruction or staining, which can lead to costly repairs. Reducing ant populations also minimizes ongoing maintenance needs and preserves the property's appearance, making it more inviting and well-maintained for residents and visitors alike.

Get Ants Extermination Service Quotes

  • Ants Extermination - needed when ants invade kitchens, bathrooms, or other indoor spaces in Roanoke, TX and surrounding areas.
  • Ants Extermination - required when outdoor ant colonies threaten to establish nests near residential or commercial properties.
  • Ants Extermination - essential when persistent ant trails are found inside the home, indicating a growing infestation.
  • Ants Extermination - necessary when ants are seen in large numbers or are difficult to eliminate with DIY methods.
  • Ants Extermination - sought after when ant activity is detected around the foundation or entry points of a property.

Get Ants Extermination Service Quotes

Ants Extermination Service
Ants Extermination Service
Ants Extermination Service

Ants extermination services involve identifying and eliminating ant infestations within residential, commercial, and industrial properties. Professionals use a combination of inspection techniques to locate ant colonies and entry points, followed by targeted treatments to eradicate the pests. These services often include the application of baits, insecticides, and barrier treatments designed to control both visible ants and their hidden nests. The goal is to reduce the ant population effectively and prevent future invasions through strategic pest management methods.

Ant problems can cause significant inconveniences and property damage, especially when colonies establish themselves indoors or in structural areas. Ants can contaminate food supplies, create unsightly trails, and in some cases, cause damage to wood or other building materials. Exterminators help address these issues by removing existing colonies and implementing preventative measures to minimize the likelihood of re-infestation. Proper treatment can also help reduce the risk of ants attracting other pests or creating health concerns within the property.

Various types of properties utilize ants extermination services, including single-family homes, apartment complexes, restaurants, and retail stores. Residential properties often seek assistance to remove ants from kitchens, basements, or gardens, especially when infestations become persistent. Commercial establishments, such as food service businesses, may require regular pest management to comply with health standards and maintain a pest-free environment. Additionally, property managers and landlords frequently engage pest control providers to handle ant issues across multiple units or shared spaces.

Professional ant extermination services typically involve a thorough inspection to determine the extent of the infestation and identify the species involved. Based on the findings, service providers tailor treatment plans to suit the specific property type and severity of the problem. They may also recommend ongoing monitoring or preventative treatments to ensure long-term control. Engaging experienced local pest control professionals can help property owners effectively manage ant issues and maintain a clean, pest-free environment.

The overview below groups typical Ants Extermination Service projects into broad ranges so you can see how smaller, mid-sized, and larger jobs often compare in Roanoke, TX.

In many markets, a large share of routine jobs stays in the lower and middle ranges, while only a smaller percentage of projects moves into the highest bands when the work is more complex or site conditions are harder than average.

Initial Inspection Cost - The cost for an initial ant inspection typically ranges from $50 to $150, depending on the size of the property and the complexity of the infestation. Some providers may include the inspection as part of a larger treatment package. Costs can vary based on local service providers in Roanoke, TX.

Basic Treatment Services - Basic ant extermination treatments generally cost between $100 and $300 for a standard residential property. The price depends on the extent of the ant problem and the treatment method used. Larger or more severe infestations may increase the cost.

Per-Visit Charges - Many service providers charge per visit, with typical costs ranging from $75 to $200. Multiple visits may be necessary for complete eradication, especially in cases of persistent or widespread ant colonies.

Comprehensive Pest Control Packages - Full pest control packages that include ant extermination often range from $300 to $600 annually. These packages may cover multiple pest types and include regular treatments, with costs varying by provider and property size.

Actual totals will depend on details like access to the work area, the scope of the project, and the materials selected, so use these as general starting points rather than exact figures.

Get an Ants Extermination Service Quote

Ants Extermination - Local pest control providers offer targeted treatments to eliminate ant colonies and prevent future infestations in residential and commercial properties.

Ants Prevention - Service providers can assess property conditions to identify and address entry points, reducing the likelihood of ant invasions over time.

Ants Inspection - Professionals conduct thorough inspections to locate ant nests and determine the extent of an infestation for effective treatment planning.

Ants Baiting - Experts utilize baiting systems to attract and eliminate ants at the source, helping to control both indoor and outdoor populations.

Ants Barrier Treatments - Local pros apply barrier treatments around structures to create a protective perimeter against ant entry and activity.

Ants Removal - Skilled technicians employ various removal methods to eradicate ants from affected areas, ensuring a pest-free environment.

Ants Extermination Service

When selecting professionals for ant control services, experience is a key factor to consider. Local pest control providers often have extensive knowledge of ant species common to areas like Roanoke, TX, and nearby communities, which can contribute to more effective treatment strategies. Comparing the backgrounds of different contractors can help homeowners identify those with a proven track record in managing ant infestations, ensuring that the selected service provider has the necessary familiarity with local conditions and pest behaviors.

Clear communication and well-defined expectations are essential when working with ant extermination specialists. Reputable local providers typically offer detailed information about their services, including treatment methods and what homeowners can expect during and after the process. Understanding these details upfront can help set realistic expectations and foster a transparent working relationship, making it easier to coordinate and address any questions or concerns that may arise throughout the service.

Reputable references and reviews from previous clients can serve as valuable indicators of a local contractor’s reliability and quality of work. Homeowners are encouraged to seek out trusted sources or testimonials when evaluating potential service providers. Establishing open lines of communication with local pros ensures that questions are answered thoroughly and that homeowners feel confident in the professionalism and responsiveness of the pest control specialists they choose to work with.

Get an Ants Extermination Service Quote

Property owners in Roanoke, TX use Ants Extermination Service services for practical projects around their homes and businesses. The sections below highlight everyday jobs and straightforward project options.

Ants Extermination Service
Ants Extermination Service

Ants Extermination Service providers in Roanoke, TX are often sought after by property owners dealing with persistent ant infestations in residential or commercial spaces. Common situations include discovering ant trails in kitchens, bathrooms, or around outdoor foundations, prompting owners to seek professional solutions to eliminate the problem effectively. These services are also called upon when ant colonies have become widespread, affecting the comfort and hygiene of a property, or when previous DIY efforts have failed to control the infestation.

Property owners may also look for ant extermination services to address seasonal or recurring ant activity, especially during warmer months when ants are more active. Additionally, those planning to prepare a property for sale or renovation might seek professional assistance to ensure ant issues do not interfere with property value or inspections. Local service providers can offer targeted treatments to help restore a pest-free environment and prevent future ant problems.

Get an Ants Extermination Service Quote

How do ant extermination services work? Ant extermination services typically involve inspecting the property to identify ant colonies, applying targeted treatments to eliminate existing ants, and implementing preventative measures to reduce future infestations. Local service providers customize their approaches based on the ant species and infestation severity.

Are ant extermination treatments safe for pets and children? Many ant extermination methods are designed to be safe for homes when applied by professionals. It is recommended to discuss any concerns about pets or children with the service provider before treatment.

How long does an ant extermination treatment usually last? The duration of effectiveness varies depending on the treatment type and level of infestation. Follow-up treatments or inspections may be recommended to ensure complete eradication.

Can ant extermination services prevent future infestations? Yes, professional exterminators often include preventative strategies such as barrier treatments and advice on eliminating food and water sources to help prevent future ant problems.

How can I identify if I have an ant infestation? Signs of an ant infestation include visible ants indoors or outdoors, ant trails, small piles of dirt or debris near entry points, and damaged or chewed food containers. A local pest control professional can confirm the presence of ants and recommend treatment options.

Ants Inspection Services - Local pest control providers can assess your property to identify ant infestations and determine the extent of the problem.

Ants Treatment Solutions - Experienced pros offer targeted treatments to eliminate ants and prevent future invasions around residential and commercial properties.

Ants Prevention Advice - Service providers can recommend measures to reduce attractants and seal entry points to help keep ants from returning.

Ongoing Ants Monitoring - Professionals can set up monitoring or follow-up treatments to ensure ant issues are fully resolved and do not recur.

Ants Extermination Service

Considering Ants Extermination Service for a property in Roanoke, TX? The sections above highlight common project types, practical options, and details that often shape the scope of work.

When you are ready, use the quote form to share a few details about your project. Local pros can review the basics and respond with options that match what you have in mind.

Get an Ants Extermination Service Quote

Ants Extermination Quotes

Our Trusted Partners
Cantu Pest Control
Orkin
Hawx Pest Control