Local Service Overview

Get Ants Extermination Service in Rhome, TX

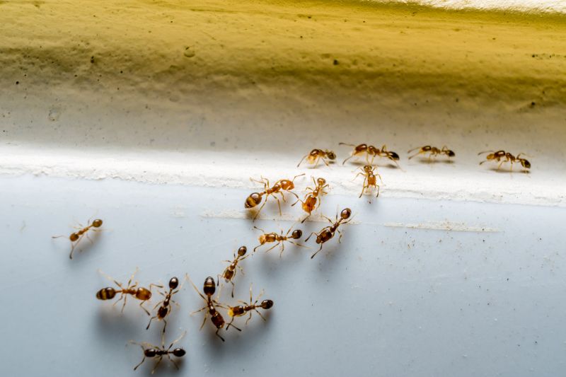
Ants extermination services for property owners in Rhome, TX, and nearby areas address ant infestations, prevent future invasions, and manage ant-related property issues through professional treatments.

Rhome, TX

Ants extermination services provide property owners in Rhome, TX with an effective solution to manage and prevent ant infestations. These services help maintain a comfortable living environment by reducing the presence of pests that can invade homes and commercial properties. Additionally, eliminating ants can enhance safety by preventing potential damage to structures and reducing the risk of contamination, making spaces safer for residents and visitors alike.

Engaging professional ant extermination services offers benefits such as increased durability of the property’s structure and decreased maintenance needs over time. Proper treatment not only addresses current infestations but also helps prevent future issues, preserving the property's curb appeal and overall functionality. This proactive approach supports a well-maintained, pest-free environment that contributes to the property’s long-term value and appearance.

Get Ants Extermination Service Quotes

  • Ants Extermination - needed when ants invade kitchens, pantries, or other indoor areas in Rhome, TX and nearby communities.
  • Ants Extermination - required when ants establish nests outdoors around residential or commercial properties.
  • Ants Extermination - necessary for eliminating persistent ant colonies that threaten to spread across a property.
  • Ants Extermination - sought after when ants are seen foraging inside homes or businesses in the local area.
  • Ants Extermination - important when ant activity increases during warmer months in Rhome, TX and surrounding regions.

Get Ants Extermination Service Quotes

Ants Extermination Service
Ants Extermination Service
Ants Extermination Service

Ants extermination services involve targeted treatment methods designed to eliminate ant colonies and prevent future invasions. These services typically include identifying the source of an ant infestation, applying appropriate insecticides or baiting systems, and implementing strategies to reduce attractants around the property. Professionals use a combination of chemical and non-chemical techniques to ensure thorough eradication while minimizing disruption to the environment and inhabitants. Regular inspections and follow-up treatments may also be part of the service plan to maintain a pest-free environment.

Ant infestations can cause various problems for property owners, including damage to structures, contamination of food supplies, and general nuisance. Certain ant species, such as carpenter ants, are known for damaging wood components of buildings, which can compromise structural integrity over time. Additionally, ants can quickly multiply and spread, making early intervention essential. Exterminators help address these issues by not only removing existing colonies but also identifying and sealing entry points to prevent re-infestation, thereby reducing the risk of ongoing damage and discomfort.

Properties that typically seek ant extermination services include residential homes, apartment complexes, and commercial buildings. In residential settings, ants often invade kitchens and dining areas, attracted by food and moisture. Multi-unit dwellings may experience widespread issues due to shared walls and common entry points, requiring professional intervention. Commercial properties, such as restaurants and food storage facilities, also rely on pest control services to maintain hygiene standards and comply with health regulations. Regardless of the property type, effective ant control often involves a tailored approach suited to the specific environment and infestation level.

Professional ant extermination services are available to address both minor and severe infestations across various property types. Whether dealing with a small kitchen invasion or a large-scale colony in a commercial warehouse, local pest control providers offer solutions designed to eliminate ants efficiently. These services help property owners restore comfort and safety by managing ant populations and preventing future issues. Contacting local experts can provide tailored treatment options to meet the unique needs of each property, ensuring a pest-free environment.

The overview below groups typical Ants Extermination Service projects into broad ranges so you can see how smaller, mid-sized, and larger jobs often compare in Rhome, TX.

In many markets, a large share of routine jobs stays in the lower and middle ranges, while only a smaller percentage of projects moves into the highest bands when the work is more complex or site conditions are harder than average.

Initial Inspection - The cost for an ant inspection typically ranges from $50 to $150, depending on property size and complexity. This fee often covers a thorough assessment of infested areas to identify ant activity and entry points.

Basic Treatment - A standard ant extermination service may cost between $100 and $300. This usually includes applying targeted pesticides around affected areas to eliminate colonies.

Comprehensive Service - For extensive ant infestations, prices can range from $200 to $500 or more. These treatments often involve multiple visits, baiting, and detailed nest removal strategies.

Follow-up Visits - Follow-up treatments or inspections typically cost between $75 and $200 per visit. These ensure that ant activity is fully eradicated and prevent future re-infestations.

Actual totals will depend on details like access to the work area, the scope of the project, and the materials selected, so use these as general starting points rather than exact figures.

Get an Ants Extermination Service Quote

Ants Extermination - Local pest control professionals offer targeted treatments to eliminate ant colonies and prevent future infestations in residential and commercial properties.

Ants Inspection Services - Experts conduct thorough inspections to identify ant entry points and nesting areas, helping to develop effective extermination plans.

Ants Prevention Solutions - Service providers implement barrier methods and sanitation advice to reduce the likelihood of ant re-infestation around properties.

Ants Baiting and Trapping - Professionals set up bait stations and traps to control ant populations without the use of excessive chemicals.

Ants Removal for Commercial Spaces - Commercial pest control specialists provide customized solutions to address ant issues in offices, restaurants, and warehouses.

Ants Extermination for Outdoor Areas - Local pros treat gardens, lawns, and outdoor structures to eliminate ants and protect landscaped environments.

Ants Extermination Service

When evaluating ants extermination services, experience is a key factor to consider. Local pros typically have extensive knowledge of ant behaviors and common infestation patterns specific to Rhome, TX, and surrounding areas. An experienced provider can identify the root causes of ant problems more efficiently and recommend effective treatment options based on their familiarity with local pests. It’s beneficial to review the backgrounds of potential service providers to understand their history in the industry and their familiarity with residential ant control.

Clear communication and well-defined expectations are important when working with any pest control professional. Reputable local providers often outline their service procedures, what customers can expect during and after treatment, and any necessary follow-up actions. This transparency helps ensure that homeowners are informed about the scope of work and can plan accordingly. Service providers who communicate openly and provide written details about their approach tend to foster better understanding and trust.

Reputable references and positive reputation within the community can serve as valuable indicators of a reliable ant extermination service. Many local pros can provide references or testimonials from previous clients, offering insights into their quality of work and professionalism. Additionally, a service provider’s reputation can often be gauged through online reviews or community feedback, helping homeowners identify providers known for consistent, dependable pest control services. Connecting with local pros who have established positive relationships within the community can lead to a smoother and more satisfactory experience.

Get an Ants Extermination Service Quote

Property owners in Rhome, TX use Ants Extermination Service services for practical projects around their homes and businesses. The sections below highlight everyday jobs and straightforward project options.

Ants Extermination Service
Ants Extermination Service

Ants extermination services are commonly sought by property owners in Rhome, TX, who are dealing with persistent ant invasions in their homes or businesses. These pests can invade kitchens, pantries, and other areas, creating discomfort and potential health concerns. Local service providers can assist with identifying the source of the infestation and implementing effective treatment options to eliminate ants and prevent future problems.

Property owners may also look for ant extermination services after noticing increased ant activity during warmer months or following construction projects that disturb ant colonies. Routine inspections and targeted treatments from experienced professionals can help maintain a pest-free environment. Engaging with local experts ensures that ant issues are addressed promptly and effectively, helping to protect the comfort and integrity of the property.

Get an Ants Extermination Service Quote

How do ant extermination services work? Ant extermination services typically involve inspecting the property to identify ant colonies and entry points, applying targeted treatments to eliminate the ants, and advising on prevention measures to reduce future infestations.

Are ant extermination treatments safe for pets and children? Many extermination treatments are designed to be safe when applied by professionals, but it is recommended to discuss concerns with local service providers to ensure appropriate precautions are taken.

How long does an ant extermination treatment last? The effectiveness of an extermination treatment can vary depending on the severity of the infestation and the methods used; follow-up treatments may be necessary for ongoing control.

Can ant extermination services prevent future ant problems? Yes, professional services often include advice and treatments aimed at reducing the likelihood of future ant invasions by addressing entry points and nesting sites.

How do I prepare my home for ant extermination? Preparation may involve cleaning the property, removing food and water sources, and clearing clutter near entry points; specific instructions can be provided by local service providers.

Ants Control Solutions - Local pest control providers offer targeted treatments to eliminate ant colonies and prevent future invasions.

Inspection and Identification - Professionals can identify ant species and determine the most effective extermination methods for your property.

Preventive Treatments - Service providers recommend and apply barrier treatments to reduce the likelihood of ant re-entry.

Ongoing Monitoring - Experts can establish monitoring plans to detect early signs of ant activity and address issues promptly.

Ants Extermination Service

Considering Ants Extermination Service for a property in Rhome, TX? The sections above highlight common project types, practical options, and details that often shape the scope of work.

When you are ready, use the quote form to share a few details about your project. Local pros can review the basics and respond with options that match what you have in mind.

Get an Ants Extermination Service Quote

Ants Extermination Quotes

Our Trusted Partners
Cantu Pest Control
Orkin
Hawx Pest Control
Mosquito Shield