Local Service Guide

Get Ants Extermination Service in Denton, TX

Local contractors in Denton, TX, can help property owners eliminate ant infestations, prevent future outbreaks, and handle pest control projects in homes and businesses.

Denton, TX

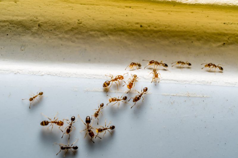
Ants can quickly become a persistent problem for property owners in Denton, TX, especially during warmer months when these pests are most active. Whether you're dealing with an ongoing invasion or want to prevent future issues, exploring professional extermination options is a practical step toward maintaining a safe and comfortable property. Local contractors specializing in ants extermination offer a range of solutions tailored to the specific needs of homes and businesses in the area, helping to address infestations effectively.

When considering ants extermination services, it’s helpful to compare local contractors to find the right fit for your project. Planning ahead and understanding the options available can lead to more informed decisions, ensuring the work aligns with your property’s requirements. Keep reading to learn more about the services offered by local providers and how they can help keep ants out of your space.

Get Ants Extermination Service Quotes

  • Ants Extermination - needed when ants invade kitchens or other indoor living spaces in neighborhoods around Denton, TX.
  • Ants Extermination - required if persistent ant trails appear in residential or commercial properties in nearby communities.
  • Ants Extermination - sought after when ants become a recurring nuisance in homes within the Lake Cities area.
  • Ants Extermination - necessary when ant colonies are found nesting outdoors near gardens, lawns, or building foundations.
  • Ants Extermination - essential if ant activity increases during warmer months in neighborhoods across the Denton area.
Ants Extermination Service
Ants Extermination Service
Ants Extermination Service

Ants extermination services involve targeted treatments designed to eliminate ant colonies and prevent future invasions. These services typically start with a thorough inspection of the property to identify ant entry points, nesting sites, and the species involved. After assessing the situation, service providers apply appropriate treatments, which may include baiting, dusting, or liquid insecticides, to effectively eradicate ants from indoor and outdoor spaces. The goal is to eliminate visible ants and address the underlying causes of infestation to keep the property ant-free over time.

Ant infestations can cause a variety of problems for homeowners, including damage to structures, contamination of food, and increased frustration. Carpenter ants, for example, can damage wood in walls and foundations, leading to costly repairs if left untreated. Smaller ants like odorous house ants or sugar ants often invade kitchens and pantries, contaminating food supplies. Ants may also create unsightly trails and nests that diminish the appearance of a home’s interior or exterior. Professional extermination services help resolve these issues by removing the pests and implementing measures to reduce the chances of future invasions.

Properties that typically use ant extermination services include single-family homes, apartment complexes, restaurants, and commercial buildings. Homes with gardens, patios, or landscaping are more susceptible to ant entry and may require regular treatments to keep ants at bay. Commercial properties, especially food establishments, often seek pest control to maintain hygiene standards and comply with health regulations. Additionally, properties in areas prone to ant activity, such as near wooded or grassy zones, may benefit from ongoing pest management plans to prevent recurring problems.

Homeowners should consider ant extermination services when noticing signs of infestation, such as visible ants crawling across floors, walls, or countertops, or the presence of nests outdoors. Other indicators include unexplained trails of ants, damaged wood, or contaminated food stores. Engaging with experienced service providers can help identify the specific type of ant problem and recommend the most effective treatment options. Regular inspections and preventive treatments can also help maintain a pest-free environment, ensuring that ant issues do not escalate into larger or more costly problems.

The overview below groups typical Ants Extermination Service projects into broad ranges so you can see how smaller, mid-sized, and larger jobs often compare in Denton, TX.

In many markets, a large share of routine jobs stays in the lower and middle ranges, while only a smaller percentage of projects moves into the highest bands when the work is more complex or site conditions are harder than average.

Small Ant Infestation Removal - Typical costs for removing small ant colonies in residential areas range from $250 to $600. Many routine jobs fall within this middle range, covering common household infestations. Larger or more persistent problems may require additional treatments, increasing the overall cost.

Localized Treatment Services - Contacting local contractors for targeted ant control in specific areas usually costs between $300 and $700. This range applies to jobs like kitchen or yard treatments, which are common in neighborhoods around Denton, TX. Extensive or multiple-location treatments can push costs higher.

Full Property Extermination - Complete ant eradication across an entire property can range from $1,000 to $3,000, depending on the size and complexity of the job. Many projects in this tier involve larger homes or commercial spaces, with fewer projects reaching the highest end of the spectrum.

Ongoing Prevention Services - Ongoing maintenance plans typically cost between $150 and $400 per visit, with many clients opting for quarterly or biannual treatments. These costs reflect routine preventative work handled by local service providers to keep ant populations at bay over time.

Actual totals will depend on details like access to the work area, the scope of the project, and the materials selected, so use these as general starting points rather than exact figures.

Get a Quote

Pest Control for Cockroaches - local contractors use similar techniques and tools to identify and eliminate pest infestations, including ants.

Termite Inspection and Treatment - professionals plan and execute treatments that require detailed inspection and targeted application, akin to ant extermination methods.

Rodent Removal Services - these projects involve planning and implementing exclusion and removal strategies that share skills with ant control procedures.

Spider and Insect Extermination - local service providers apply comparable pest management techniques to address a variety of household insects, including ants.

Wildlife Exclusion and Removal - these projects involve assessing entry points and implementing barriers, skills also used in ant prevention strategies.

Bed Bug Treatment Services - professionals utilize specialized tools and planning approaches similar to those used in ant extermination to eliminate invasive pests.

Ants Extermination Service

When comparing ants extermination services, it’s important to consider the experience of local contractors with similar projects. Homeowners should look for providers who have a proven track record in handling ant infestations in residential settings. Asking about the types of ant problems they have addressed and the methods they typically use can help gauge their familiarity with common issues faced by homeowners in Denton, TX and nearby areas. An experienced service provider is more likely to understand the nuances of effective treatment strategies and provide solutions tailored to specific situations.

Clear written expectations are essential for ensuring that both homeowners and service providers are aligned on the scope of work. When evaluating local options, it’s helpful to review any written estimates or service descriptions to understand what treatments will be performed and what results to expect. Reputable service providers should be transparent about the process, including any follow-up treatments or preventive measures. Having these details documented can help prevent misunderstandings and ensure that homeowners feel confident in the approach taken to eliminate ants from their property.

Reputable references and effective communication are vital factors to consider when choosing a contractor for ant extermination. Homeowners should seek out local service providers who can provide references from previous clients with similar needs. This can offer insights into the quality of work and professionalism. Additionally, good communication-such as prompt responses to questions and clarity in explaining treatment options-helps build trust and ensures that homeowners are well-informed throughout the process. Remember, this platform introduces homeowners to local options; it does not perform the work itself, but helps connect people with trusted service providers capable of handling the job professionally.

Get an Ants Extermination Service Quote

Property owners in Denton, TX use Ants Extermination Service services for practical projects around their homes and businesses. This guide focuses on everyday jobs and straightforward project options.

Ants Extermination Service
Ants Extermination Service

Ants can become a common nuisance for property owners in Denton, TX, especially during warmer months when these pests are most active. Whether ants are invading a kitchen, pantry, or outdoor space, many homeowners seek the assistance of local contractors who specialize in ant extermination to effectively eliminate the problem and prevent future infestations. These service providers are experienced in identifying ant species and applying targeted treatments that address the source of the infestation, helping to restore comfort and safety to the property.

In residential and commercial properties alike, signs of an ant problem-such as visible trails, mounds, or unexplained food contamination-often prompt property owners to seek professional help. Local contractors can assess the situation, recommend appropriate solutions, and implement effective treatments to control and remove ants. Connecting with experienced service providers ensures that property owners in Denton can handle ant issues promptly and efficiently, maintaining a pest-free environment.

Get an Ants Extermination Service Quote

How do local contractors handle ant infestations? Local ant extermination service providers typically assess the extent of the infestation and apply targeted treatments to eliminate ants and prevent future issues.

What methods are commonly used to get rid of ants? Common methods include baiting, spraying, and dusting, all performed by local contractors to effectively control ant populations.

Are ant extermination services safe for pets and children? Most local service providers use treatment options that are safe when applied properly, but it's advisable to discuss any concerns with the contractor before work begins.

What types of ants can local exterminators address? Local contractors are equipped to handle various ant species such as carpenter ants, odorous house ants, and pavement ants.

How can I prevent future ant problems in my home or yard? Local pros often recommend sealing entry points, removing food sources, and implementing ongoing treatment plans to reduce the likelihood of future ant issues.

Ants Control Solutions - Property owners can have local contractors treat kitchens and dining areas to prevent ant infestations from spreading indoors.

Outdoor Ant Barriers - Setting up barriers around gardens, patios, or foundations can help keep ants from entering living spaces.

Pre-Construction Ant Prevention - Installing preventative treatments before building or landscaping can reduce future ant problems in new or renovated properties.

Routine Pest Monitoring - Regular inspections by local service providers can identify early signs of ant activity and address issues before they escalate.

Ants Extermination Service

If you are thinking about Ants Extermination Service for a property in Denton, TX, this guide is meant to help you understand the work, the typical project types, and how different options might fit your plans.

When you are ready, you can use the quote form on this page to share a few details about your project. From there, local pros can review the basics and respond with options that match what you have in mind.

Get a Quote

Ants Extermination Quotes

Our Trusted Partners
Cantu Pest Control
Orkin
Hawx Pest Control